
3月8日~11日 フィリピン・アニラオツアー
期間 2025年3月8日~11日
担当 東京店 伊東inst
こんにちは!東京店の伊東です。
フィリピンアニラオへ行ってきました!
フィリピンへ行くのは、コロナが始まる前の2019年ぶりでしたが、変わらぬ水中世界が広がっていました。

成田から、約4時間。さらにマニラから車で2時間半。

初日は移動日で、二日目からダイビングへ!

チェックダイブを兼ねて向かうは、ダリラウトというレックポイント。
水上レストランが水中に沈んでいます。



さらにレストランを囲むようにキンセンフエダイの群れが迎えてくれます。

キンセンフエダイ
水底には、ダイバーに人気のカニハゼや、


背鰭が特徴的なイトヒキインコハゼに、全部のヒレが大きいシモフリタナバタウオ

伊豆ではなかなか出会えないスズメダイの仲間たちも沢山いました!

クロオビスズメダイ
2本目はわたしも大好きソンブレロへ。
ここでは、サンゴにハナダイにマクロもワイドも楽しめる絶景が広がっています。


さすがのフィリピン、サンゴは過去の調査で300種類以上のサンゴの生息が確認されているんです。
可愛い生物もいろいろと見られるので、何を撮影しようかと目移りしちゃいます。

フチドリカワハギ

クロスズメダイ幼魚
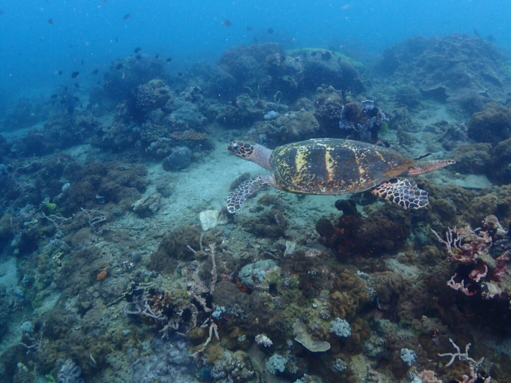
初日のラストダイブは、コアラというポイントへ。
エントリーするとかめさんがお出迎え!

アオウミガメ
砂地もあったこのポイントでも可愛らしい生き物が盛りだくさん。

ゴールドスペックジョーフィッシュ

チンアナゴ

モンハナシャコ
2日目は、大物狙いでツインロックへ!ギンガメアジがわんさかいるポイントへ!!

ギンガメアジ
辺り一面ギンガメアジに囲まれる体験はなかなか貴重ですね~!

大物も見つつ、水底ではまたまた可愛らしい生物が沢山います

ハナヒゲウツボ幼魚
2日目の2本目は流れができるだけ少ないポイントを選んで小さいもの探し。

ホヤカクレエビの仲間

コールマンシュリンプ
エビ・カニはいろいろと。小さいカサゴの仲間ヒメヤマノカミ!!

エビちゃんの触角がどいた瞬間にシャッターを切ります・・・
最後のポイントは、カデトラルというポイント。
アンカーの投入が禁止されているカデトラルは、浅場のサンゴがアニラオ1といっても良い状態で保存されています。




アニラオらしいマクロ生物もいます、います!

カクレクマノミ

ハナビラクマノミ

ミスジアオイロウミウシ

ピンクスクワットロブスター
そして、そして今回のツアーで、50本、100本、300本、500本と記念ダイブの方もたくさんいらっしゃいました!
おめでとうございます!!

写真撮るのが難しいけど、なんとか撮れましたね〜!
ツアー終わったあとにもうお一人300本の方が発覚して、7人中、5人が記念ダイブでした!
おめでとうございます!!

アフターダイブは、ホテルの前のビーチで、シュノーケリング。
私の得意分野のスズメダイは数知れず。水深1mにアイドル達がわんさかいます!

イチモンスズメダイ
他にも、オジロスズメダイ、ミヤコキセンスズメダイ、ルリホシスズメダイ、クロメガネスズメダイ、メガネスズメダイなどなど。
アザラシのようなコクテンフグも沢山いたようです♪

宿へ戻って夕食を待ちながら夕日をみて過ごしました。


写真はツアーご参加の皆様から頂きました!
ご参加頂いた皆様、ありがとうございました!!
また、アニラオも行きましょう!
東京店 伊東




